- Rathaus & Service
- Freizeit & Tourismus
- Bildung & Soziales
- Bauen & Abwasser
Aufstellungsbeschluss B-Plan 0401 Radebrecher
Bekanntmachung
der Gemeinde Nordstemmen
Bauleitplanung der Gemeinde Nordstemmen;
Bekanntmachung des Aufstellungsbeschlusses gemäß § 2 Absatz 1 Baugesetzbuch (BauGB) und Bekanntmachung der Öffentlichen Auslegung gemäß § 3 Absatz 2 BauGB des Bebauungsplans Nr. 0401 „Radebrecher-Siedlung“, 2. Änderung und der Begründung hierzu
Der Verwaltungsausschuss der Gemeinde Nordstemmen hat in seiner Sitzung am 19.06.2025 beschlossen, den Bebauungsplan Nr. 0401 „Radebrecher-Siedlung“, 2. Änderung im beschleunigten Verfahren gemäß § 13 a des Baugesetzbuchs (BauGB) in Verbindung mit § 2 Abs. 1 BauGB, ohne Durchführung einer Umweltverträglichkeitsprüfung nach § 2 Abs. 4 BauGB, aufzustellen.
Des Weiteren hat der Verwaltungsausschuss der Gemeinde Nordstemmen in seiner Sitzung am 10.03.2026 über die Beteiligung der Öffentlichkeit gem. § 3 Abs. 2 BauGB und der Behörden sowie Träger öffentlicher Belange gem. § 4 Abs. 2 BauGB beschlossen.
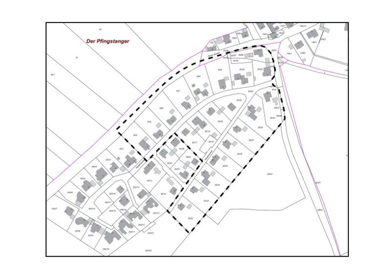
Planbereich des Bebauungsplanes
Der räumliche Geltungsbereich des Bebauungsplans Nr. 0401 „Radebrecher-Siedlung“,
2. Änderung befindet sich südwestlich der Ortschaft Burgstemmen im Bereich der Straße „Radebrecher“ und ist in dem nachstehenden Übersichtsplan „schwarz“ umrandet dargestellt.

© Gemeinde Nordstemmen
Ziel und Zweck des Bebauungsplanes
Mit der 2. Änderung des Bebauungsplanes Nr. 0401 „Radebrecher-Siedlung“ soll durch die Änderung der Art der baulichen Nutzung von einem Kleinsiedlungsgebiet zu einem Allgemeinen Wohngebiet der heutigen, faktischen Nutzung entsprochen werden. Zudem werden die Baugrenzen erweitert, um eine innerörtliche Nachverdichtungsmöglichkeit durch Wohnnutzung zu ermöglichen. Durch die Planung können Außenbereichsflächen geschont und Nachverdichtungspotenziale ausgenutzt werden.
Beteiligung und Öffentliche Auslegung
Der Entwurf zur 2. Änderung des Bebauungsplanes Nr. 0401 „Radebrecher-Siedlung“ mit Begründung ohne Umweltbericht und die artenschutzrechtliche Potenzialeinschätzung, welche im Rahmen der 2. Änderung des Bebauungsplans Nr. 0401 „Radebrecher-Siedlung“ ausgearbeitet wurde, sind in der Zeit
vom 23.03.2026 bis 24.04.2026 (einschließlich)
unter der Adresse https://www.nordstemmen.de/bauen-abwasser/bauleitplanung/aktuelle-bauleitplanverfahren/ bereitgestellt und können dort eingesehen.
Zusätzlich zur Veröffentlichung im Internet liegen die Unterlagen im gleichen Zeitraum bei der Gemeindeverwaltung Nordstemmen, Rathausstraße 3, im Fachbereich Planung, Bau und Umwelt, während der folgenden Besuchszeiten öffentlich aus:
Montag: 9.00 ‑ 12.00 Uhr
Dienstag: 9.00 ‑ 12.00 Uhr
Mittwoch nach Vereinbarung
Donnerstag: 9.00 ‑ 12.00 Uhr und 15.00 ‑ 18.00 Uhr
Freitag: 9.00 ‑ 12.00 Uhr
Jedermann kann sich während der Auslegungsfrist schriftlich oder während der Öffnungszeiten mündlich zur Niederschrift zur Planung äußern. Es können gerne auch Stellungnahmen per E-Mail an bauleitplanung@nordstemmen.de gesendet werden. Es wird darauf hingewiesen, dass Kinder und Jugendliche Teil der Öffentlichkeit im Sinne des BauGB sind. Nicht fristgerecht abgegebene Stellungnahmen können bei der Beschlussfassung über den Bebauungsplan Nr. 0401 „Radebrecher-Siedlung“, 2. Änderung gem. § 4a (6) BauGB unberücksichtigt bleiben.
Zur Verarbeitung von Stellungnahmen zu dieser Bauleitplanung wird auf das Informationsblatt gemäß Artikel 13 der Datenschutzgrundverordnung (DSGVO) hingewiesen, dass im Internet unter www.nordstemmen.de in der Rubrik „Bauen & Abwasser“ unter „Bauleitplanung“ dem Unterpunkt „Erläuterung zum Verfahren & Datenschutz“ eingesehen werden kann und welches gleichzeitig mit ausliegt.
Es wird darauf hingewiesen, dass eine Vereinigung im Sinne des § 4 Absatz 3 Satz 1 Nummer 2 des Umwelt-Rechtsbehelfsgesetzes in einem Rechtsbehelfsverfahren nach § 7 Absatz 2 des Umwelt-Rechtsbehelfsgesetzes gemäß § 7 Absatz 3 Satz 1 des Umwelt-Rechtsbehelfsgesetzes mit allen Einwendungen ausgeschlossen ist, die sie im Rahmen der Auslegungsfrist nicht oder nicht rechtzeitig geltend gemacht hat, aber hätte geltend machen können.
Nordstemmen, 12.03.2026
Gemeinde Nordstemmen
Die Bürgermeisterin
